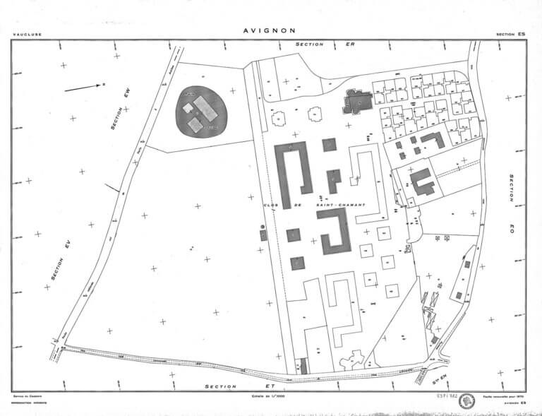
Stade nautique de Saint-Chamand sur le plan cadastral d’Avignon
Note
Ce plan cadastral datant de 1970 fait apparaître le stade nautique de Saint-Chamand à Avignon ouvert au public en juillet 1966 et inauguré l’été suivant. La piscine est intégrée au sein de la ZUP Sud.
Lieu
